loader image

ルーペ片手に

初午

2月1日活動日。初午 晴天の南野川ふれあいの森。

はあも初めの1月11日に参詣した、森に隣接するお社には、お稲荷様が祀られています。初午と活動日が重なることはあまりないので、今年は持参したお赤飯をお供えして五穀豊穣?(耕作はしていませんので、森が豊かに、活動が活発に!)願い、活動に臨みました。初午のお供え物は、各地様々なようですが、一般的にはお稲荷様の好きな油揚げや稲荷寿司が多いのかしら?我が家では、昔からお赤飯だったもので、お供えさせてもらいました。

ふゆめ とうが 冬芽

本日は、参加者大人のみ9人・・・元気よく体操をして、寒さで縮こまった体を伸ばすと、真っ青な空に木々の梢が光って見えます。冷たい空気が体に取り込まれる感覚は、冬の森ならではですね。

いつもは「はあもビンゴ」で観察タイムですが、本日は久しぶりに観察会スタイルで、みんなで森を1周しました。テーマは「冬芽」。この時期の定番です。

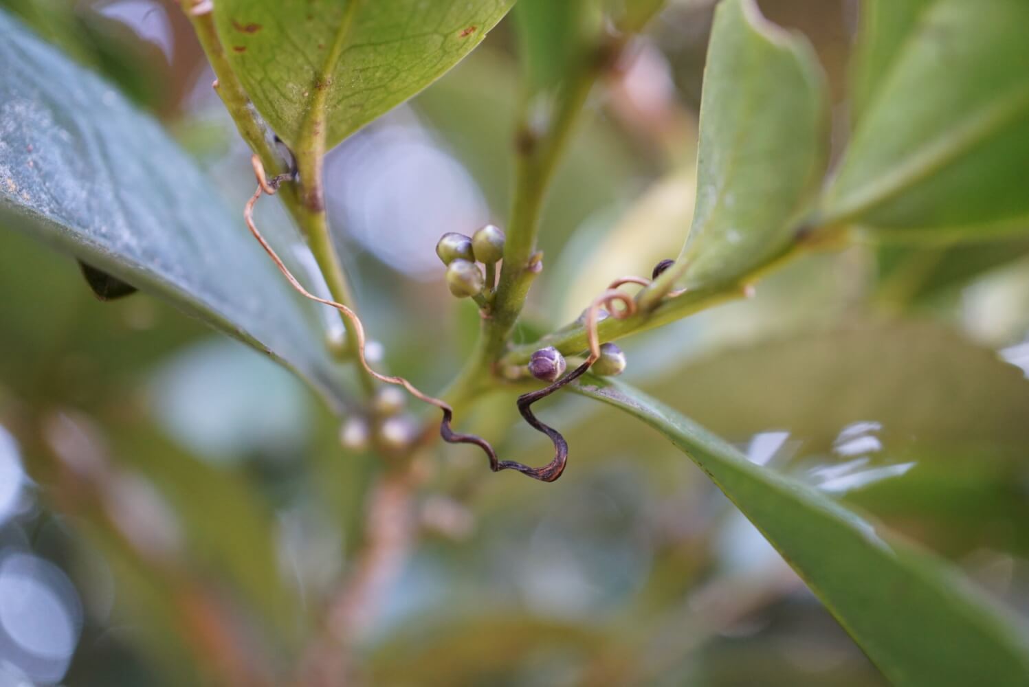
春の芽吹きを迎えるためには、寒くて乾燥する冬を乗り切らなくてはなりません。樹木にとって大切な芽は、前年の夏後半からじっくり育ち、今は冬の寒さを防ぐそれぞれの戦略でしっかり守られています。そんな小さな冬芽をルーペでじっくり見ていく時間となりました。

冬芽には、タケノコの皮のように芽を包む複数の鱗(うろこ)状の皮で包まれた鱗芽(リンガ)、そして鱗は持たずに、葉っぱとなる芽がそのままむき出しの状態の裸芽(らが)があります。そして落葉樹の芽の下には葉痕といって、葉がついていた痕が見られます。葉痕には、水や養分の通り道だった維管束痕という点々がついています。

・・・・・こういうのを観察するのでルーペが欠かせません。特に手元の細かいのを見るのに苦労するお年頃には、大変なんです。写真撮影も一苦労、オートフォーカスのスマホではなかなかピントが合いません(-_-;)

ということで、最初は肉眼でもよくわかる大きな冬芽から観察しました。何枚も皮をかぶっていない裸芽は、どれもあったかそうな毛で覆われていました。葉痕も、かわいい小人だったり、おさるさん?だったり、同じ木でも表情は多彩でしたね~

巣箱の取り付けと落ち葉かき

大人だけということもあり、観察を熱心にやりすぎて時間が押してしまいましたが、午前中に残っていた巣箱1個を取付完了。これで、先月付けた3個の巣箱と合わせて4つの巣箱が森に掛かりました。どんぐり広場に2個、野草を楽しむ散策路に2個。森に行ったら鳥の邪魔をしないように探してみてくださいね。

午後からは、初めてさんのご家族も参加して、野草を楽しむ散策路の落ち葉かきを行いました。熊手を持つ前に落ちている枝を拾います。たくさんありました。

寒いだろうなあと心配していましたが、風もあまり吹かず冬の森を満喫した一日でした。そうそう、、こもれび広場のウグイスカグラが咲き始めていました。もう春は来てますね。